
オレゴンの火山、2026年まで待つんだって!ドキドキするね♡
アクシアル火山の最新情報!🌋
はじめに✨
12月31日、つまり年末がやってきたね!これって、アメリカの西海岸にあるアクシアル火山(海底にある火山)が、研究者たちが予測した通りに2025年内に噴火するかどうかのリミットの時を意味するんだ。でも結論から言うと、今年の噴火は難しそう…💔
予測の更新📝
オレゴン州立大学のビル・チャドウィックという研究者は、「新しいデータに基づいて、予測を来年に延ばす必要があるかもしれない」と話しているんだって。どうやら、2026年の中頃まで噴火はないかもっていうことなんだよ。
火山の予測は難しい🌊
火山の噴火を予測するのって、実はとっても難しいことなんだ。特に数週間や数ヶ月前に予測するのはほとんど不可能。だけど、アクシアル火山については、他の火山よりも多くの情報があるから、予測できる可能性が少し高いんだ。
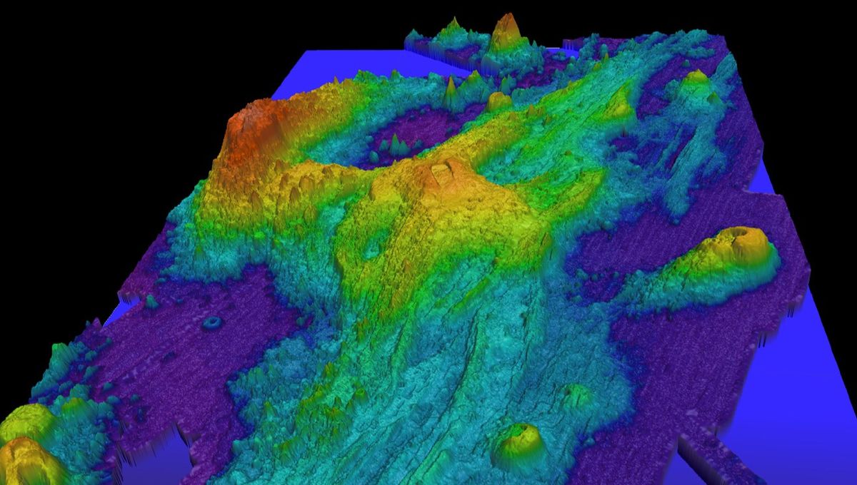
「アクシアルは、地球上で最もよく監視されている海底火山だよ」って、カリフォルニアのスクリップス海洋学研究所のマーク・ズンバーグ博士が言ってる。センサーが常にデータを集めていて、火山の動きや地震活動、さらには火山の表面がどれくらい成長しているかをリアルタイムでチェックしているんだ。
マグマがもたらす膨張💥
火山は、地下のマグマが溜まって膨張することで成長するんだ。これまでの研究では、その膨張の程度が噴火のタイミングを予測する手がかりになるかもしれないって考えられていたんだって。
実際、チャドウィック氏は、2024年の11月にアクシアル火山の膨張が2015年の噴火前の水準を超えたと報告していたの。そして、科学者たちは「これなら噴火がいつでも起こるかも」と期待していたんだ!🌟
でも、実際は膨張がもう少し進む必要があるみたいで、予測が外れちゃったんだよね。
地震活動もカギ🔑
火山の噴火を予測するのに、膨張だけじゃなく地震活動も観察されているよ。2025年のアクシアル火山は成長しているけど、あまり地震が起こらなかったんだ。それが「噴火の兆しはそろそろ終わりを迎えそう」っていう印象を与えているんだって。
最近の観測データによると、1日に1000回を超える地震はめったに見られないんだ。もし2015年のパターンが正しければ、噴火の前には毎日2000回以上の地震があったはずなんだよね。
月の引力の影響?🌕
さらに面白いことに、太陽や月の位置が噴火に影響を与える可能性もあるんだって。海の潮は月の引力によって動くけど、その時に地殻にかかる圧力が変わることが、地震の頻度にも影響を与えるかもしれない。
最近の噴火は、ほとんどが1月から5月の間に起きることが多いんだ。これは、太陽の引力が一番弱い時期とも関係しているかもしれないから、注目だよ!
次の噴火はいつ?🔮
じゃあ、次のアクシアル火山の噴火はいつになるのかっていうと…まだはっきりしない。でも、最新の技術や理論に基づいて、もっと正確に予測できる可能性があるんだよ✨
チャドウィック氏は、リアルタイムのデータを基にした新しい物理モデルに取り組んでいるみたい。このモデル、ちゃんと機能すれば、未来の噴火を正確に予測できるかも!
「成果が楽しみ」と彼は語っていて、過去のデータと比較しながら進めているんだって。😊
最後に💖
とはいえ、次の噴火がいつ来るかは不透明なまま…。もしうまくいかなかったとしても、2027年を待ってみるのも一つの手かもしれないよ🎉
これからもアクシアル火山の動きに注目していこうね!✨

面白かったかな?次の話も楽しみにしててね!スゴイことがあったら教えてね!



コメント
予測は予定じゃないよ。
それな
そして予定は未定ともいう
APIエラー: レスポンスが変だぞ。